Zones géographiques
Nouveautés
"in natura"
Techniques
Index
Identification des Cerambycidae
de Guyane et d'ailleurs...
Collection Frédéric ROBIN
Nouveautés
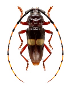
Cosmotomidius nigrisetosus Touroult, Tavakilian & Dalens, 2010 - mle. ♂
Xenohippopsis ariane Dalens & Robin, 2026 - PARATYPE - fmle. ♀
Xenohippopsis ariane Dalens & Robin, 2026 - HOLOTYPE - mle. ♂
Eriphus lineatocollis Chevrolat, 1863 - mle. ♂
Thyellocerus fulgidipennis (Gounelle, 1909) mle. ♂
Touroultia lordi Nearns & Tavakilian, 2012 - mle. ♂
Gagarinia borgmeieri (Bondar, 1938) mle. ♂
Epropetes latifascia (White, 1855) mle. ♂
Andraegoidus lacordairei (Dupont, 1838) mle. ♂
Hoplistonychus bondari Melzer, 1930 - mle. ♂
Lissonotus equestris (Fabricius, 1787) fmle. ♀
Lissonotus equestris (Fabricius, 1787) mle. ♂
Cnemidochroma coeruleum (Achard, 1910) fmle. ♀
Metacriodion pictum (Waterhouse, 1880) mle. ♂
Opades costipennis (Buquet in Guérin-Méneville, 1844) mle. ♂
Lochmaeocles pulcher Dillon & Dillon, 1946 - mle. ♂
Hamatastus lemniscatus Monné, 1985 - mle. ♂
Oxathres kawensis Roguet, 2024 - mle. ♂
Epropetes ozodiformis Martins & Napp, 1984 - mle. ♂
Lissonotus bisignatus Dupont, 1836 - mle. ♂
Xenofrea apicalis Melzer, 1931
Plocaederus bellator (Audinet-Serville, 1834) mle. ♂
Oncideres albomarginata Thomson, 1868 - fmle. ♀
Trestonia turbula Monné & Fragoso, 1984 - fmle. ♀
Formozotroctes toulgoeti Tavakilian & Néouze, 2007
Eburodacrys perspicillaris (Erichson in Schomburg, 1848) fmle. ♀
Peritrox perbra Dillon & Dillon, 1945 - mle. ♂
Tenthras setosus Monné & Tavakilian, 1990 - fmle. ♀
Ceragenia leprieurii Buquet in Guérin-Méneville, 1844 - mle. ♂
Eusapia amazonica (White, 1855) mle. ♂
Ischioloncha wollastonii Thomson, 1860 - fmle. ♀
Myoxomorpha vidua Lacordaire, 1872
Anelaphus souzai (Zajciw, 1964) mle. ♂
Sphallenum tuberosum Bates, 1870 - mle. ♂
Rostroclytus turuna (Galileo & Martins, 2007) mle. ♂
Chlorophorus annularis (Fabricius, 1787) mle. ♂
Sous-tribu : CHLOROPHORINA Zamoroka, 2021
Megacyllene angulata (Fabricius, 1775) mle. ♂
Unaiuba icterica (Gounelle, 1911) fmle. ♀
Mecometopus aurantisignatus Zajciw,1964 - fmle. ♀
Mecometopus leprieuri (Castelnau & Gory, 1841) fmle. ♀
Sous-tribu : PLAGIONOTINA Zamoroka, 2021
Sous-tribu : CLYTINA Zamoroka, 2021
Tribu : CHLOROPHORINI Zamoroka, 2021
Tribu : CLYTINI Mulsant, 1839
Nyctonympha affinis Martins & Galileo, 2008
Tribu : FORSTERIINI Tippmann, 1960
Itaituba pitanga Galileo & Martins, 1991 - mle. ♂
Eranina dariae Nearns, Swift & Santos-Siva, 2023 - mle. ♂
Callichroma auricomum (Linné, 1767) mle. ♂
Callichroma velutinum (Fabricius, 1775) mle. ♂
Pyrpotyra paradisiaca (Tippmann, 1953) fmle. ♀
Parandra (Tavandra) lalannecassouorum (Tavakilian, 2000) mle. ♂
Callancyla croceicollis (White, 1855) fmle. ♀
Macrodontia crenata (Olivier, 1795) mle ♂ - PEROU -
Macropophora trochlearis (Linné, 1758) mle. ♂
Mionochroma tavakiliani Juhel & Dalens, 2017 - mle. ♂
Desmiphora astrigae Tavakilian & Néouze, 2004
Canindea signaticornis (Buquet, 1857)
Oxathres guyanensis Monné & Tavakilian, 2011 - mle. ♂
Desmiphora sarryi Tavakilian & Néouze, 2004
Polyrhaphis papulosa (Olivier, 1795) mle. ♂
Polyrhaphis spinosa (Drury, 1773) mle. ♂
Taeniotes farinosus (Linné, 1758) mle. ♂
Sphallotrichus puncticollis robustus (Bates, 1872) fmle. ♀
Compsibidion multizonatum Martins, 1969 - mle. ♂
Pucallpa robusta Monné, 1978 - fmle. ♀
Ozodes infuscatus Bates, 1870 - mle. ♂
Chrysoprasis aeneicollis (Buquet, 1844)
Hippopsis ocularis Galileo & Martins, 1995 - mle. ♂
Granastyochus elegantissimus (Tippmann, 1953) mle. ♂
Callichroma gounellei Achard, 1910 - fmle. ♀
Rhaphiptera roppai Fragoso & Monné, 1984 - fmle. ♀
Recchia claudinae Dalens & Robin, 2024 - PARATYPE - fmle. ♀
Rosalba mathildae Robin & Dalens, 2024 - HOLOTYPE - fmle. ♀
Rosalba cancelerensis Robin & Dalens, 2024 - HOLOTYPE - fmle. ♀
Rhaphiptera rixator Thomson, 1868 - mle. ♂
Rhaphiptera avicenniae Dalens & Tavakilian, 2007 - fmle. ♀
Rhaphiptera scrutatrix Thomson, 1868 - fmle. ♀
Desmiphora cayennensis Tavakilian & Néouze, 2004
Rosalba seraisorum Tavakilian, Santos-Silva & Galileo, 2018 - mle. ♂
Achryson pictum Bates, 1870 - fmle. ♀
Oxylymma sudrei Peñaherrera-Leiva & Tavakilian, 2003 - fmle. ♀
Isthmiade buirettei Tavakilian & Peñaherrera-Leiva, 2005 - fmle. ♀
Etimasu cosmipes (Peñaherrera-Leiva & Tavakilian, 2003) fmle. ♀
Martinsia ackermanni Dalens & Robin, 2023 - PARATYPE - mle. ♂
Martinsia ackermanni Dalens & Robin, 2023 - HOLOTYPE - fmle. ♀
Rhaphiptera alvarengai Fragoso & Monné, 1984 - fmle. ♀
Eusapia amazonica (White, 1855) fmle. ♀
Carphontes posticalis Bates, 1881
Piezarina smaragdina Martins, 1976
Deltosoma humeralis Dalens & Giuglaris, 2014 - mle. ♂
Mimommata pernauti Tavakilian & Peñaherrera, 2003
Ambonus distinctus (Newman, 1840) fmle. ♀
Sangaris inornata Monné, 1993 - fmle. ♀ var.
Dorcasta dasycera (Erichson, 1849)
Anoplophora asuanga Schultze, 1923 - fmle. ♀ - PHILIPPINES -
Anoplophora mamaua Schultze, 1923 - mle. ♂ - PHILIPPINES -
Rhathymoscelis mortieri Dalens & Touroult, 2014 - mle. ♂
- INCERTAE SEDIS - GUYANE
Batocera kibleri Schwarzer, 1925 - mle. ♂ - ILES SALOMON -
Nemophas forbesi Waterhouse, 1884 - mle. ♂ - INDONESIE -
Pseudonemophas baluanus (Aurivillius, 1924) fmle. ♀ - MALAISIE -
Nemophas tricolor Heller, 1896 - mle. ♂ - INDONESIE -
Batocera frenchi Van de Poll, 1886 - mle. ♂ - AUSTRALIE -
Batocera celebiana pierrotae Rigout, 1994 - fmle. ♀ - INDONESIE -
Pseudomyagrus waterhousei (Gahan, 1888) mle. ♂ - MALAISIE -
Batocera wallacei Thomson, 1858 - mle. ♂ - INDONESIE -
Anoplophora sollii (Hope, 1839) fmle. ♀ - THAÏLANDE -
Anoplophora albopicta (Matsushita, 1933) mle. ♂ - TAIWAN -
Anisopodus punctipennis Monné & Martins, 1976 - fmle. ♀
Odontocera colon (Bates, 1870) mle. ♂
Ecliptoides rouperti (Tavakilian & Peñaherrera, 2005)
Neocompsa cylindricollis (Fabricius, 1798) mle. ♂ - ILE DE LA DOMINIQUE -
Nesanoplium dalensi Chalumeau & Touroult, 2005 - ILE DE LA DOMINIQUE -
Juiaparus lasiocerus (Gahan, 1892) mle. ♂
Juiaparus batus ( Linné, 1758) mle . ♂
Onychocerus scorpio (Fabricius, 1781) mle. ♂
Tapuruia felisbertoi Lane, 1973
Neobaryssinus altissimus Berkov & Monné, 2010 - fmle. ♀
Nyssodrysternum analogum Monné & Tavakilian, 2011 - mle. ♂
Nyssodrysternum flavolineatum Monné, 1985 - fmle. ♀
Mallocera amazonica Bates, 1870 - mle. ♂
Trestonia nivea Martins & Galileo, 1990 - mle. ♂
Callipogon barbatum (Fabricius, 1781) fmle. ♀ - HONDURAS -
Physopleurus rugosus Gahan, 1894 - fmle ♀
Hisarai seripierriae (Santos-Silva & Martins, 2003) mle. ♂ - BRESIL -
Stictosomus semicostatus Audinet-Serville, 1832 - fmle. ♀
Sarifer flavirameus Kirsh, 1871 - mle. ♂ - PEROU -
Myzomorphus quadripunctatus (Gray, 1831) mle. ♂ - BRESIL -
Disteniazteca pilati (Chevrolat, 1857) - NICARAGUA -
Scatopyrodes beltii (Bates, 1869) fmle. ♀ - NICARAGUA -
Ctenoscelis coeus (Perty, 1832) mle. ♂
Ctenoscelis coeus (Perty, 1832) fmle. ♀
Orthomegas maryae (Schmid, 2011) mle. ♂
Ialyssus tuberculatus (Olivier, 1795) fmle. ♀
Derobrachus geminatus LeConte, 1853 - fmle. ♀ - MEXIQUE -
Hephialtes ruber (Thunberg, 1822) fmle. ♀
Charmallaspis pulcherrima (Perty, 1832) fmle. ♀ - PEROU -
Orthomegas cinnamomeus (Linné, 1758) mle. ♂
Orthomegas cinnamomeus (Linné, 1758) fmle. ♀
Titanus giganteus (Linné, 1771) fmle. ♀
Sous-tribu : BASITOXINA Lameere, 1912
Sous-tribu : ARCHETYPINA Lameere, 1912
Tribu : MALLODONTINI Thomson, 1861
Charmallaspis pulcherrima (Perty, 1832) mle. ♂ - BOLIVIE -
Stenolis celinae Roguet, 2022
Esmeralda laetifica Bates, 1869 - mle. ♂ (var. 2)
Anoplomerus globulicollis Buquet, 1860 - mle. ♂
Oreodera bituberculata Bates, 1861 - mle. ♂